Veloroute 5 - Hamburger Hilfslosigkeit für Radverkehr
Die kostenlose Wurfzeitung “Hamburger Wochenblatt” hat in einem kurzen Artikel über den geplanten Umbau von Reese- und Hufnerstraße berichtet. Und was vielleicht wie ein großer Wurf klingen mag, fasst eigentlich die Plan- und Hilflosigkeit der rot-grün-regierten Stadt Hamburg in Bezug auf Radverkehr sehr gut zusammen:
200 Meter Protected Bike Lane und zweimal 750 Meter Radfahrstreifen sieht die fertige Planung für einen knapp 1000 Meter landen Abschnitt der Veloroute 5 vor. [..] Unter unterhalb der Eisenbrücke soll es dann einen “Kopenhagener Radweg” mit einer niedrigen Kante zwischen Auto- und Radspur geben – gegen Konflikte zwischen Fußgängern, Radfahrern und Autofahrern.
Kopenhagen wäre nicht Kopenhagen, wenn es den “Kopenhagener Radweg” nur unterhalb von Eisenbahnbrücken – und es wie in Hamburg ständig Flickschusterei mit häufig wechselnden Radverkehrsführungen gäbe.
Auf dem überwiegenden Abschnitt haben wir heute einen Radweg, der in Worten von Olaf “CumEx” Scholz “mittlerweile ziemlich verformt” sei, also ganz normaler Hamburger Standard. Sprich: Verbindungen, die ich entweder versuche zu umfahren oder auch auf der KfZ-Fahrbahn passiere. Stattdessen entstehen nun Radfahrstreifen zwischen Fahrbahn und Längsparkplätzen, genau jenes Konstrukt, was in Hamburg besonders gerne zugeparkt wird.
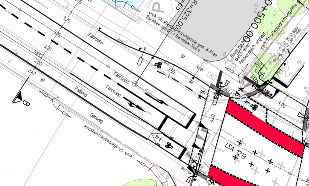
Ein kleines besonders Detail ist die Hufnerstraßenbrücke, wo die Radinfrastruktur sogar zurückgebaut (!) wird:
In Fahrtrichtung Nord gibt es derzeit noch einen Radweg. Im Kreuzungsbereich zur Poppenhusenstraße soll ein Kreisverkehr entstehen. Nun sollen wohl Radfahrende die Fahrbahn bereits benutzen, um dann in die weitere Hufnerstraße links (also Kreisverkehr, 2. Ausfahrt) einzubiegen. Warum man aber in der Verbindung zum S-Bahnhof die bestehende Verbindung ebenso killt – ich weiß es nicht. Damit jedenfalls dieser Fehler nicht so schnell wieder behoben werden kann, wird auch passend eine Straßenlaterne installiert.
(Wozu hier eigentlich ein Kreisverkehr?)
(Und Nein, ich erwarte in Hamburg keine besseren Lösungen. Die Leute kannten dieses Flickwerk mit Rot-Grün und haben genau das wiedergewählt. Warum sollten sie nun ernsthaft Verkehrswende nun vorantreiben?)
Die vollständigen Planungsunterlagen von Nord nach Süd (jeweils auf Anlage klicken):
Bisherige Kommentare (1)
Kommentar von René
Noch ein kleiner Rant in Richtung Grüne in Nord: Sie suggerieren, dass sie großzügig Planungsunterlagen bereitstellen, sie bieten stattdessen eine ZIP-Datei an, in der sie die Deckblätter der Mitteilungsvorlagen bündeln – ohne Planungsunterlagen.
Kommentar verfassen
Bisherige Trackbacks (0)
Es wurde noch kein Trackback empfangen!


